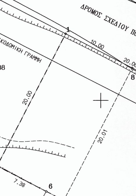
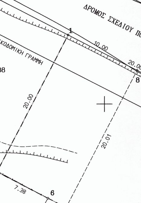
Πωλείται Οικόπεδο 200 τ.μ. – Μεσαμπελιές Ηρακλείου
Πωλείται άρτιο και οικοδομήσιμο οικόπεδο επιφάνειας 200 τ.μ. στην περιοχή Μεσαμπελιές Ηρακλείου, σε εξαιρετική και ήσυχη τοποθεσία.
Διαθέτει:
• Νέο τοπογραφικό διάγραμμα
• Περασμένο στο Κτηματολόγιο
• Κατάλληλο για ανέγερση κατοικίας
• Εύκολη πρόσβαση
• Κοντά σε σχολεία, αγορά και μέσα μεταφοράς
Ιδανικό για ιδιοκατοίκηση ή επένδυση.
Τιμή: κατόπιν επικοινωνίας
Για περισσότερες πληροφορίες
SPITOCOSMOS REAL-ESTATE
Υπεύθ/Νίκος Βασσαλος
📞 0030 2816008201
📱 0030 6980352308
spitocosmos1@gmail.com




